Lectura 2:00 min
Roslyn se convierte en huracán categoría 4 mientras avanza hacia costa del Pacífico de México
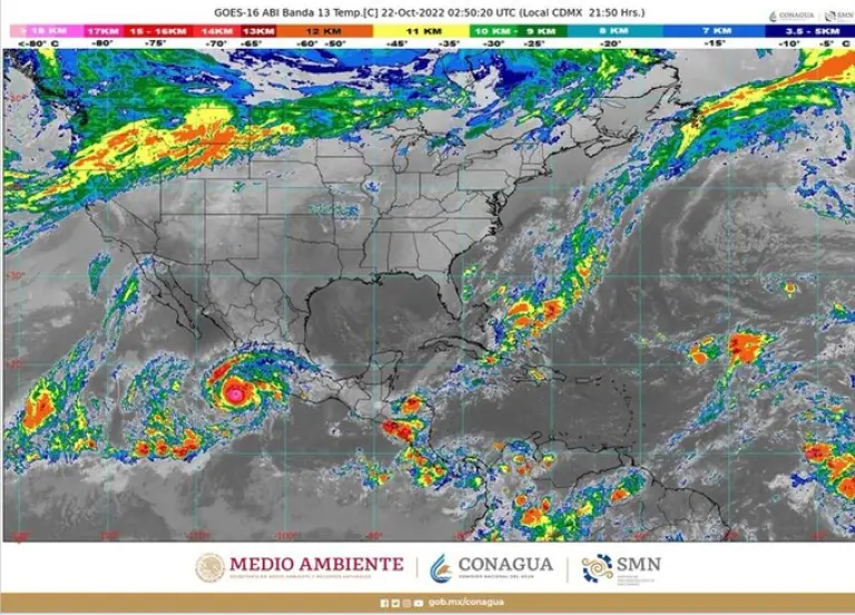
El huracán Roslyn se intensificó el sábado a categoría 4 y se espera que siga fortaleciéndose a medida que avanza hacia zonas turísticas a lo largo de la costa del Pacífico de México y toque tierra el domingo, dijo el Centro Nacional de Huracanes (NHC) de Estados Unidos.

Foto: @conagua_mx
El huracán Roslyn se intensificó el sábado a categoría 4 y se espera que siga fortaleciéndose a medida que avanza hacia zonas turísticas a lo largo de la costa del Pacífico de México y toque tierra el domingo, dijo el Centro Nacional de Huracanes (NHC) de Estados Unidos.
Se pronostica que Roslyn cobrará fuerza a medida que avanza paralela a la costa suroeste de México antes de tocar tierra a lo largo de la costa del estado de Nayarit el domingo por la mañana, trayendo intensos vientos y una gran marejada ciclónica, dijo el organismo.
Nayarit alberga destinos de playa populares como Sayulita y Punta Mita.
Aunque era posible que se debilitara a partir del sábado por la noche, se esperaba que Roslyn todavía estuviera cerca o con fuerza de huracán mayor cuando tocara tierra, dijo el centro con sede en Miami.
Los vientos máximos sostenidos estaban cerca de los 215 kilómetros por hora, y se esperaban intensas lluvias en la costa superior de Colima, Jalisco y el oeste de Nayarit.
Las fuertes lluvias podrían provocar inundaciones repentinas y posibles deslizamientos de tierra en áreas de terreno accidentado en la costa suroeste y centro-oeste de México", señaló.
Los preparativos para proteger la vida y propiedades "deben completarse rápidamente" para las áreas bajo advertencia de huracán a lo largo de las costas de Jalisco y Nayarit desde Playa Perula hasta El Roblito, agregó.