Lectura 2:00 min
Evacuados en Filipinas y Taiwán se refugian antes la cercanía del supertifón Ragasa
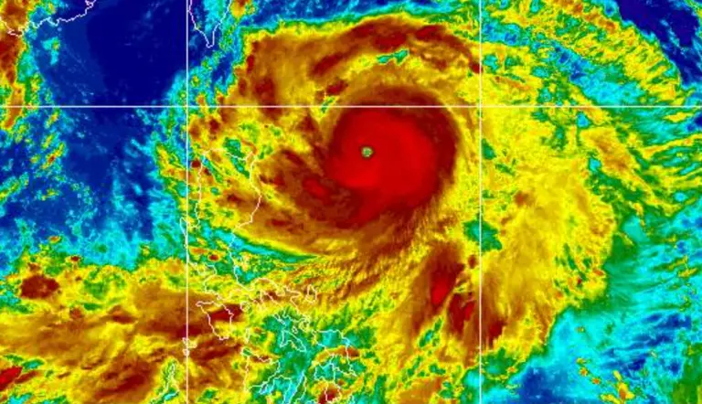
Se prevé que el ciclón, que se intensifica rápidamente, toque tierra en las escasamente pobladas islas filipinas de Batanes o Babuyan a primera hora de la tarde del lunes, según la agencia meteorológica nacional.

Foto: Especial
Centenares de familias se albergaron el lunes en escuelas y centros de evacuación ante las intensas lluvias y ráfagas de viento provocadas por el supertifón Ragasa que arremetieron contra el norte de Filipinas y el sur de Taiwán.
Se prevé que el ciclón, que se intensifica rápidamente, toque tierra en las escasamente pobladas islas filipinas de Batanes o Babuyan a primera hora de la tarde del lunes, según la agencia meteorológica nacional.
A las 08H00 locales del lunes (00H00 GMT), los vientos soplaban a 215 kilómetros por hora en el centro de la tormenta, con ráfagas que alcanzaban los 265 km/h, según el servicio meteorológico nacional de Filipinas.
"Estamos experimentando fuertes vientos en el norte de Cagayan", dijo a la AFP el jefe del servicio de emergencias de esa provincia filipina, Rueli Rapsing, quien aseguró que se han preparado para "lo peor".
"Como el supertifón atravesará Calayan, estamos muy enfocados en esa zona", agregó sobre esa ciudad en el norte de la provincia.
Filipinas ordenó evacuaciones en el norte del país el domingo. Tanto oficinas como escuelas permanecerán cerradas el lunes en la región de Manila y en 29 provincias.
Las autoridades locales "no deben perder tiempo en retirar a las familias de las zonas de peligro", dijo en un comunicado el secretario del Interior, Jonvic Remulla.
El especialista climático filipino John Grender Almario declaró el domingo a periodistas que se esperan "inundaciones y deslizamientos severos" al norte de la isla principal de Luzon, donde se ubica la capital Manila.
Miles de personas protestaron el domingo en la capital filipina por un escándalo de corrupción con proyectos para contener las inundaciones.
En Taiwán se realizaron evacuaciones a escala pequeña en zonas montañosas cerca de Pingtung, indicó a la AFP James Wu, un funcionario de los bomberos locales.
"Lo que más nos preocupa es que el daño puede ser similar al que provocó el tifón Koinu hace dos años", agregó Wu en referencia a una tormenta que derribó el tendido eléctrico y arrancó techos en la zona.



