Lectura 6:00 min
Otis halló las condiciones perfectas para ser una catástrofe
El huracán que devastó Acapulco, advierte investigadora de la UNAM, fue subestimado, y señala que en México falta inversión para investigación, tecnología y cultura civil que permitan anticiparse mucho más a catástrofes de este tipo.

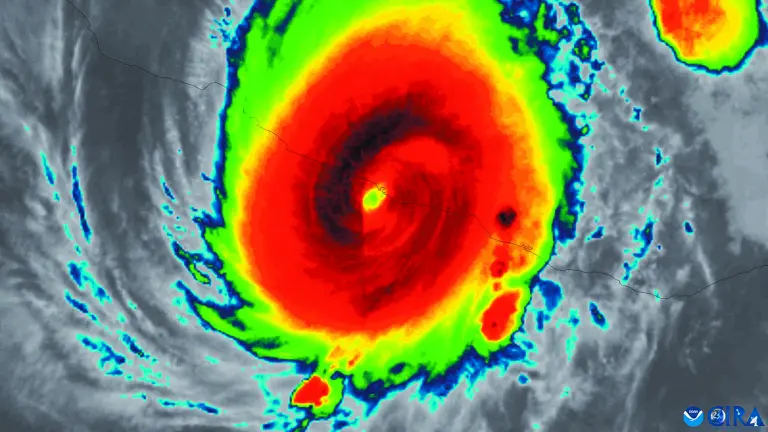
Satellite imagery shows hurricane Otis making landfall in Mexico
Resulta sorprendente leer de primera mano el estupor y la premura con la que los especialistas del Centro Nacional de Huracanes de Estados Unidos fueron presentando los reportes de seguimiento a la evolución del huracán Otis durante las horas previas a su impacto sobre la costa de Guerrero.
El reporte de las cuatro de la tarde del martes 24 de octubre ya advertía la voraz evolución del meteoro. Para ese momento, Otis ya era categoría 3 en la escala Saffir-Simpson, con ráfagas de viento estimadas en cerca de 205 kilómetros por hora (km/h), “y se espera que sea extremadamente peligroso”, señaló el reporte y para entonces estimó que el fenómeno tocaría tierra convertido en categoría cuatro.
Para el reporte número 12 del seguimiento, en punto de las 22:00 horas, el pronosticador escribió: “es una situación gravísima para el área metropolitana de Acapulco (...) no hay registros de huracanes ni siquiera cercanos a ese nivel de intensidad para esta parte de México”. A esa hora, previa aún al desastre, las ráfagas ya eran de 260 km/h y, aún sin tocar tierra, el huracán terminó por alcanzar la categoría cinco, el nivel máximo.
Alrededor de la 1:25 de la mañana, Otis tocó tierra sobre el área metropolitana de Acapulco con vientos de hasta 270 km/h, en una situación prácticamente sin precedentes y un alto nivel de devastación.
¿Qué nos indica la evolución tan violenta del fenómeno?
De acuerdo con el reporte “Gestión de Riesgos de Fenómenos Meteorológicos Extremos y Desastres para mejorar la Adaptación al Cambio Climático” (2018), presentado por el Grupo Intergubernamental de Expertos sobre el Cambio Climático (IPCC, por su sigla en inglés), “las incertidumbres en los registros históricos de los ciclones tropicales y el conocimiento incompleto de los mecanismos físicos que relacionan sus pautas con el cambio climático y su grado de variabilidad, sólo permiten tener un nivel de confianza bajo en la atribución de cualquier cambio detectable en la actividad de ciclones tropicales respecto a la influencia antropogénica (es decir, por la actividad humana)”.
En otras palabras, hay muy escasa evidencia, investigación y herramientas que permitan anticipar con precisión una evolución a largo plazo en el comportamiento de los ciclones tropicales en cuanto a intensidad o frecuencia. En esto coincide la doctora Christian Domínguez Sarmiento, investigadora del Instituto de Ciencias de la Atmósfera y Cambio Climático de la UNAM, y explica las condiciones que se dieron para la sorprendente evolución de Otis:
“Este 2023 es año de El Niño, con temperaturas muy calientes en la superficie del mar. Cada vez que nosotros tenemos un año de El Niño, uno de los efectos es la intensificación de los ciclones tropicales. Por ejemplo, en 1997 (año El Niño) ocurrió Paulina, que también afectó a Acapulco. En 2015, otro año El Niño, ocurrió Patricia, que de hecho ha tenido la más rápida intensificación del Pacífico y ha sido el huracán (registrado) más intenso hasta ahora”.

Este año, explica la especialista, ya se habían registrado las señales. Otis encontró los factores que le ayudaron a formarse. Por un lado, está la temperatura de la superficie del mar, que es bastante caliente, pero también había mucha humedad en el ambiente y coincidió con una zona de convergencia intertropical, además de que el sentido de los vientos apuntaba hacia México. Todo eso favoreció”.
No obstante, reconoce la científica, la rápida intensificación de Otis, al pasar de tormenta tropical a categoría 5 en menos de 12 horas, sí tomó por sorpresa a especialistas y tomadores de decisiones, porque, si bien había un pronóstico preciso sobre la trayectoria, el potencial evolutivo y destructivo del meteoro, argumenta, “fue subestimado”.
Pero, ¿el cambio climático también es una variable?
“No se puede negar la presencia del cambio climático, sin embargo, para esta temporada ha sido mucho más fuerte la presencia de El Niño, porque ha sido un fenómeno bastante fuerte, con récords en temperaturas, además de que veníamos de tres años de sequía. En resumen, sí, los océanos se calientan más por el cambio climático, pero siempre va a haber una variabilidad en la temperatura que este año coincidió con El Niño”.
Para ser precisos, detalla, el cambio climático está modificando los factores meteorológicos, pero no en un único sentido sino dependiendo de las características de cada región geográfica. “Por ejemplo, en el Océano Índico está aumentando el número de ciclones, pero no la intensidad, mientras que en el Atlántico hay evidencia de que se está reduciendo el número, pero se están volviendo más fuertes”.
Ahora bien, advierte, “como no tenemos datos tan amplios en el Pacífico, porque datan de 1950, cuando para hablar de cambio climático necesitamos datos de más de 100 años, entonces es muy difícil atribuir la influencia directa del cambio climático”.
Concluye que lo anterior es indicativo de un rezago en inversión para investigación y material tecnológico que permita trazar y anticipar mucho más un fenómeno del tipo de Otis.
“Estamos necesitados de muchas cosas, desde los instrumentos, pasando por tener radares. Por ejemplo, en Acapulco no había un radar que permitiera saber que el ciclón se estaba intensificando, porque simplemente estábamos confiando en los pronósticos. Luego, efectivamente, necesitamos mucha más inversión en investigación, pero también necesitamos un cambio de conciencia en la población sobre temas preventivos, porque, generalmente, nos esperamos a que se nos anticipe un ciclón categoría 5 para hacer algo, cuando todos los ciclones tienen un grado de peligrosidad”.
Huracanes para no olvidar
- Janet (septiembre, 1955) – Categoría 5 – Quintana Roo
- Liza (septiembre, 1976) – Categoría 4 – Baja California y Sonora
- Gilberto (septiembre, 1988) – Categoría 5 – Quintana Roo, Nuevo León Coahuila
- Paulina (octubre, 1997) – Categoría 4 – Chiapas, Oaxaca, Guerrero
- Wilma (octubre, 2005) – Categoría 5 – Quintana Roo
- Patricia (octubre, 2015) – Categoría 5 – Guerrero
Escala Saffir-Simpson
- Depresión tropical – 0-62 km/h
- Tormenta tropical – 63-118 km/h
- Categoría 1 – 119-153 km/h
- Categoría 2 – 154-177 km/h
- Categoría 3 – 178-209 km/h
- Categoría 4 – 210-550 km/h
- Categoría 5 – 251-500 km/h