Lectura 1:00 min
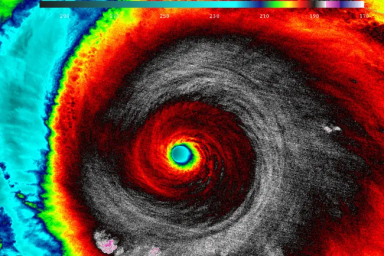
Huracán Patricia toca tierra
El huracán Patricia, el más fuerte que se haya registrado hasta el momento, tocó tierra en la costa del Océano Pacífico. Autoridades han declarado alerta máxima, mientras que miles de personas se preparan para el impacto de este fenómeno natural con una magnitud jamás vista por el hombre moderno.

El país enfrenta una amenaza de gran escala. La prioridad del @GobMX es proteger y salvar la vida de los mexicanos #HuracánPatricia.
Our thoughts are with the Mexican people as they brace for Hurricane Patricia. USAID disaster experts are on the ground and ready to help.
Escala de Huracanes
Escala de Huracanes