Lectura 3:00 min
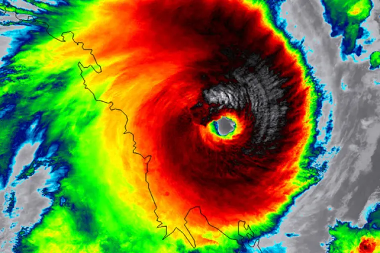
Ciclón Marcia toca tierra en Australia
Las autoridades temen que el ciclón tropical Marcia, de nivel 5, provoque daños significativos. El fenómeno meteorológico tocó tierra en la costa de Queensland, donde las autoridades advirtieron a la población de que se prepare para enfrentar una experiencia "desgarradora y terrible".

Sidney.- El potente ciclón Marcia, que según las autoridades australianas puede ser "calamitoso", tocó tierra el jueves en la costa de Queensland, donde las autoridades advirtieron a la población de que se prepare para enfrentar una experiencia que puede ser "desgarradora y terrible".
Las autoridades temen que el ciclón tropical Marcia, de nivel 5, provoque daños significativos.
"El intenso ciclón tropical Marcia, de categoría 5, se está moviendo actualmente por la Costa de Capricornio", al norte de la localidad de Yeppoon, informó la Oficina Meteorológica de Australia en su cuenta de Twitter.
En las zonas aledañas a Yeppoon (ubicada a 1,300 km de la capital Canberra) y las localidades costeras cercanas viven 16,000 personas.
"Se espera que siga moviéndose hacia el sur por tierra pero cerca de la línea de costa", agregó el organismo.
Según las proyecciones, el paso del ciclón va a provocar grandes marejadas, intensas lluvias, inundaciones y ráfagas de viento de hasta 295 km/h.
"Va a ser una calamidad, sin duda", dijo el comandante de la policía de Queensland, Ian Stewart, quien agregó que la situación era "crítica".
Dos pescadores desaparecidos fueron hallados y hasta el momento no se señalaban incidentes significativo, añadió Stewart, que insistió para los habitantes no salgan de casa o acudan a los centros de evacuación organizados por los socorristas.
La Oficina Meteorológica de Queensland espera que el ciclón cause importantes daños.
"Este es un sistema extremadamente peligroso", dijo a la cadena ABC el jefe de pronósticos de la entidad, Sam Campbell.
Para el experto, es probable que hayan daños significativos en techos, edificios, que vuelen los escombros, con apagones generalizados.
La primera ministra del Estado australiano de Queensland, Anna Palaszczuk, indicó que los habitantes de las inmediaciones de Yepoon y de las zonas costeras fueron evacuados y tos los habitantes de la región han activado los planes de emergencia y se han fletado servicios suplementarios de ambulancias.
"Este es un ciclón fuerte. Quiero que todo el mundo tome todas las precauciones que pueda", dijo.
Según la funcionaria, el fenómeno tocará con más intensidad la localidad de Yeppoon y que a medida que vaya desplazándose por la Costa de Capricornio va a disminuir a categoría tres.
"En las próximas horas, miles de habitantes de Queensland, van a vivir una experiencia desgarradora y terrible y quiero que sepan que estamos con ustedes en todo momento", agregó la funcionaria.
Otro ciclón denominado Lam avanza hacia las localidades indígenas de Milingimbi y Gapuwiyak, en la región Territorio del Norte, con categoría cuatro.
Los meteorólogos han clasificado a ambos fenómenos como "muy destructivos".
El Estado de Queensland ha sufrido varias tempestades y ciclones en los últimos años, entre ellos el ciclón Oswald, de categoría 5 también, que provocó inundaciones en parte del Estado en 2013.
mac