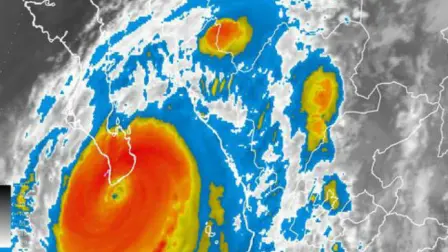
Video Alberto se debilita a depresión tropical tras tocar tierra Por Fernando Gabriel Chávez Ángeles 20/06/2024 - 18:02